公示公告
系统自动发布作废公告 办事指南 网上预约 可办证楼盘查询

不动产登记公告

您当前的位置:首页 >> 公示公告 >> 不动产登记公告

不动产异议公告 (史海荣)

发布时间:2022-02-08 浏览次数:3965

不动产异议公告

(史海荣)

经初步审定,我机构拟对下列不动产权利予以首次登记。根据《不动产登记暂行条例实施细则》第十七条的规定,现予公告。如有异议,请自公告之日起十五个工作日内(202231日之前)将异议书面材料送达我机构。逾期无人提出异议或异议不成立的,我机构将予以登记。

异议书面材料送达地址:灵璧县政务服务大厅二楼7374号窗口。

联系方式:05572379054

序号

权利人

不动产权利类型

不动产坐落

不动产面积

用途

备注

1

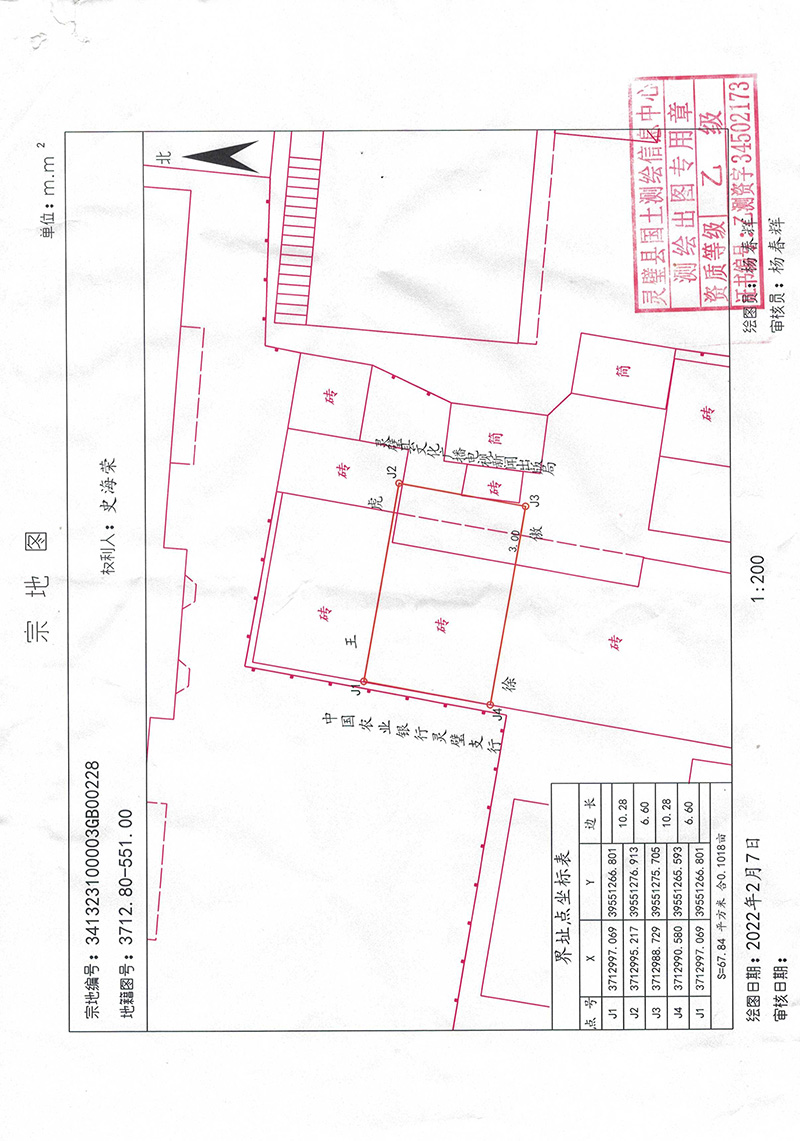
史海荣

国有出让

灵璧县人民剧场对面,文化局院内

67.84m2

住宅

/

J1-J2界址线外邻王虎;

J2-J3界址线外邻灵璧县文化广播电视新闻出版局;

J3-J4界址线外邻徐傲;

J4-J1界址线外邻中国农业银行灵璧支行。

附宗地图。


公告单位: 灵璧县不动产登记中心

2022年28

(供稿人:卓祥好)

新一篇:不动产异议公告 (范晓影)
旧一篇:不动产首次登记公告 (朱松)

友情链接

灵璧县不动产登记中心 版权所有 邮政编码:234200
联系地址:灵璧县虞姬大道南段灵运集团三楼 联系电话:0557-2377791(法规室) 0557-2377792(档案室)
备案号:皖ICP备2021018591号-1